Must I do battle every single day here?
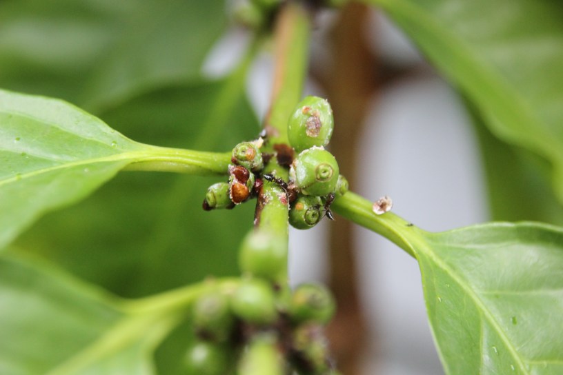
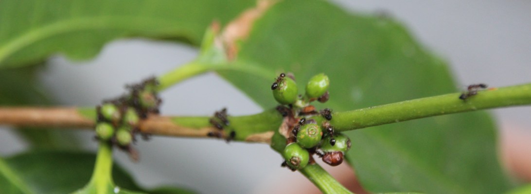
I paused to admire my new little green coffee beans on my coffee tree.
There seemed to be quite a bit of action around the beans.
Ants were busily running back and forth along the branches.
They were tending to their flock of scales. A nasty insect that sucks sap.
There was a busy little food chain with my beans at the bottom.
For the next hour, I sat in the rain with skewers and Q-tips.
Interfering with nature. I killed hundreds of scales. The ants skittered away.
The removal was followed by spritzes of warm Dawn water.
First my buds and now my beans!
My bunnies better not be next!
Oooh Wee Baby!
Warrior Flower












